Oulx (TO) Corso Montenero 18-20 - Residenziale

Trattativa riservata

Dati della proprietà
Codice ASPR53
Categoria Residenziale
Tipologia Fabbricato
Superficie Esterna 800.00
Superficie Interna 850.00
Altezza 2.80
Tribunale nessuno

Rif: UDV  PMN51

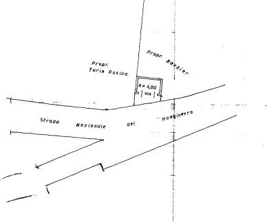
Nel cuore dell’Alta Val di Susa, nel comune di Oulx (TO), proponiamo in vendita un intero stabile cielo-terra a destinazione mista, situato in zona centrale, a pochi passi dai principali servizi del paese: negozi, supermercati, aree pedonali e punti di interesse sono tutti facilmente raggiungibili a piedi.

La posizione è strategica per chi cerca un investimento in un’area turistica di pregio: l’immobile dista circa 10 km da Bardonecchia, 15 km da Sestriere e si trova a soli 10 km dal confine con la Francia. È inoltre facilmente accessibile grazie all’autostrada A32 Torino–Bardonecchia–Fréjus, con uscita Oulx Ovest, da cui si raggiunge l’edificio in pochi minuti.

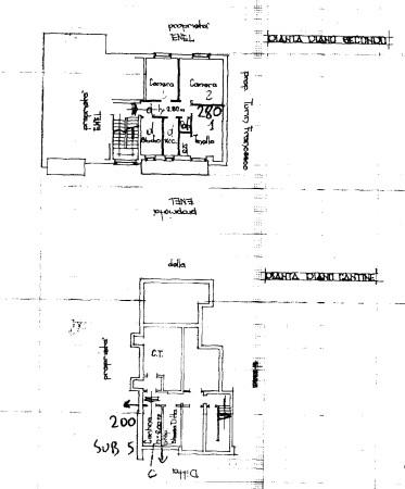
La proprietà si sviluppa su quattro piani, per una superficie lorda complessiva di circa 850 mq, ed è priva di ascensore. A completare l’offerta, un’ampia area esterna privata di circa 800 mq, ideale per parcheggi, giardino o spazi comuni. Gli accessi sono sia carrabili che pedonali, e all’interno della proprietà si trovano box auto posizionati sul retro dell’edificio, oltre a due box esterni situati a circa 50 metri.

Nel giardino è inoltre presente una casetta indipendente adibita a deposito attrezzi, utile come locale di servizio o potenziale pertinenza a futura destinazione.

L'immobile rappresenta una rara opportunità di investimento in una delle zone più ambite dell’arco alpino, perfetta per chi desidera realizzare un intervento di recupero edilizio, frazionamento o conversione in struttura ricettiva o residenziale.

Disclaimer

Le informazioni contenute nel presente annuncio sono da considerarsi puramente indicative e non costituiscono elemento contrattuale. Le superfici riportate potranno essere soggette a verifica. L’accesso agli immobili è subordinato alla disponibilità della proprietà.

INFORMATIVA SCADENZA PRESENTAZIONE OFFERTE: Il termine per la presentazione delle offerte è fissato per il giorno 16/02/2026 alle ore 12.00


9A213B28-BB24-11F0-9A85-09B07FFE7E16

Oulx (TO) Corso Montenero 18-20 - Residenziale

Rif: UDV  PMN51

Nel cuore dell’Alta Val di Susa, nel comune di Oulx (TO), proponiamo in vendita un intero stabile cielo-terra a destinazione mista, situato in zona centrale, a pochi pas …

Questo contenuto è disponibile ai soli utenti registrati.
Sei già registrato?
Non sei ancora registrato?
Crea il tuo account